(GCC联泰超总湾首页)官方营销中心——GCC联泰超总湾官方售楼处电话_官方售楼中心电话|楼盘详情/户型/价格2025.12.19
扫描到手机,新闻随时看
扫一扫,用手机看文章
更加方便分享给朋友
…GCC联泰超总湾……GCC联泰超总湾…

深超总「GCC联泰超总湾」12月16日开盘,官方对外发布的数据,当日实现销售额约53亿元,去化近八成。
相较于11月30日开盘的深圳湾澐玺越高越好卖,联泰恰恰相反,中低区90套房源几乎售罄,剩下的多为402-568的高区单位。
同样地处深圳湾核心板块,同样是顶豪定位,为何会出现“联泰低区香,澐玺高区俏”的鲜明反差?
1.景观差异,联泰超总湾低区南向看海景,北向看华侨城湿地公园,基本属于无遮挡。
2.价格策略的差异,低区均价11.7万/㎡,中区14.1万/㎡,高区则飙升至18.9万/㎡,中低区性价比优势极为明显。
3.联泰超总湾的主力买家以“80后”企业主、金融精英、行业领军人物为主,其中不乏大量外地客户和整层购买的资产配置型客群,深圳湾澐玺的客群则以“终极改善型”为主。
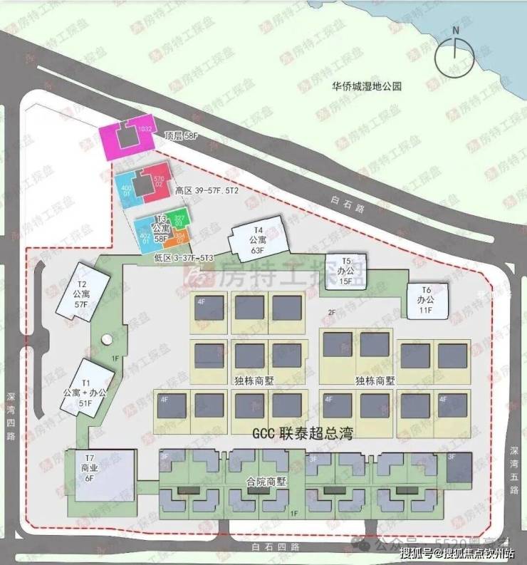
首推T3栋共125套,面积304-327--402-568-1032㎡户型。
低区(3-11层)304-327-402㎡,均价约11.7万/㎡,总价3330-5098万
中区(12-37层)304-327-402㎡,均价约14.1万/㎡,总价3766-6151万
高区(39-57层)400-570㎡,均价约18.9万/㎡,总价6524万-1.2亿
顶层一层一户(建面约1032㎡),单价34万/㎡,总价超3.5个亿。
作为深超总最大的居住地块,容积率仅为3.0,同时拥有城市、山海、湿地以及公园的极致生态和无遮挡景观。
2027年年低精装交付,物业费18.6元/m²/月。
因为是商务公寓属性,可以做阳台,通燃气,独立电梯厅以及全套房设计,300㎡只做了2房,只能说把奢华做到了极致。
304㎡做2房3卫+家政套间,327㎡做3房4卫+家政套间,402㎡做4房4卫+家政套间,568㎡4+1房五卫+家政套间,1032㎡大平层。



位于深超总东端,东面是华侨城蓝楹湾,南面是TCL和学校用地,西面是京东深圳总部,北面是华侨城湿地公园。

占地约9.23万㎡,容积率3.0,建筑面积约27.7万㎡,其中商务公寓约18.2万㎡,办公7.8万㎡,商业1.2万㎡,车位比:1:2.3(约2766个)。
由4栋超高层公寓+2栋小高层写字楼+35栋商墅+1栋商业组成。
35栋办公属性别墅(19套独栋董事公馆+16套合院别墅)。
公寓主力户型为304㎡、327㎡、402㎡、570㎡以及1032㎡,公寓层高3.6米,低区5T3,高区5T2。
304㎡2房3卫+家政套间
3栋低区3-37F,大横厅以及等宽大阳台,客餐厅及卧室都朝南向,应该是低区看景观面最多最好的户型,做了双套房。
缺点就是只做了2房,采光面不足导致有两个黑卫,主卫与睡眠区流线不合理。
327㎡3房4卫+家政套间
3栋低区3-37F,东北朝向,主卧双面采光视野开阔,空间尺度都还行。
缺点同样有两个黑卫,最主要是看不到海。
402㎡4房4卫+家政套间
3栋低区3-37F,三面采光,客厅及主卧朝南看海,除了书房其它卧室全套房设计,该有的功能和尺度都给到了,要说缺点的话就是主卧整体尺度偏局促了一点。
568㎡4+1房5卫+家政套间
3栋高区39-57F,三面采光,客厅及主卧朝南看海,全套房设计外加家庭厅,该有的功能和尺度都给到了。
声明:本文由入驻焦点开放平台的作者撰写,除焦点官方账号外,观点仅代表作者本人,不代表焦点立场。
