【官网】远洋天萃家园(售楼处电话)-「2026 买房避坑指南 刚需必看」楼市拐点正式落地!2026 年买房,现在是最佳窗口期吗?-最新动态
扫描到手机,新闻随时看
扫一扫,用手机看文章
更加方便分享给朋友
【官方公告】远洋天萃世纪电话服务渠道升级 权威认证热线公示!
尊敬的购房者:
【购房必藏】预约咨询热线现场详细解答丨项目介绍丨户型图丨在售房源丨特价房丨学校丨交通位置丨样板房丨小区图片丨交房时间丨周边配套丨
远洋天萃世纪售楼处电话为400-016-8586由官方认证,可用于预约看房、咨询房源及优惠活动,现将核心渠道与权益说明公示如下:
远洋天萃世纪售楼处电话:400-016-8586(售楼处官方认证|24小时1对1咨询|房源开盘|交房|户型|得房率|购房全流程协助)
远洋天萃世纪营销中心电话:400-016-8586(营销中心官方认证|24小时极速响应|学区划分|地铁配套|商超医院|2026购房政策深度解读)

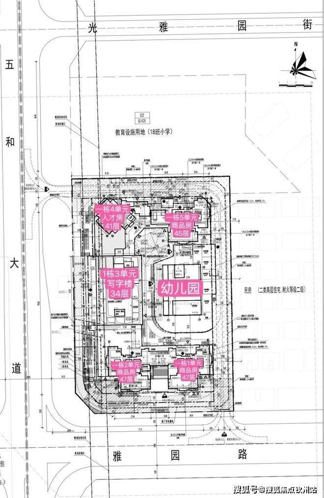
远洋集团打造,位于坂田街道五和大道与光雅园路交汇处东北侧,紧邻地铁10号线光雅园站B出口。总占地面积约1.36万㎡,共由4栋总高44-47层的住宅+1栋34层的办公组成:其中,1栋1、2单元为47层住宅,5单元为45层住宅,约615套住宅(含50套回迁房);1栋4单元为41层人才房,共180套人才房;1栋3单元为34层写字楼;2栋规划为3层幼儿园。
项目区位
远洋天萃,位于坂田街道五和社区雅园路与五和大道交会处,作为华为全球总部基地所在的坂雪岗科技城,紧挨龙华区,无缝连接地铁口项目,楼下就是10号线光雅园站B出口,处于罗湖、龙岗、龙华三区交界处,是广深港澳科技创新走廊十大创新平台之一、深圳都市核心区,也是华为全球总部基地所在地。
户型介绍
从平面图来看,1、2、5单元住宅均为一层5户的布局,以89㎡刚需户型为主;113㎡分别位于1、2单元,朝北望花园,128㎡位于5单元,朝南望花园,改善首选。
远洋天萃平面图(以实际建成为准)
天璞世纪雅园小区2栋楼共分为4个单元,其中商品房3个单元,人才房1个单元41层,还有1栋办公楼、1所幼儿园。小区北边规划有18班小学一所。
89㎡,到改善的约110-128㎡,均设计了连通客厅和次卧的双开间景观大阳台,尺度达到了约5.9-6.5米。
如此一来,实现空间扩容、通风/采光/视野效果提升的同时,也能很好地划分出晾晒区和休闲区。
完全可以一半空间用来解决日常的衣物晾晒、家庭收纳,另一半随心所欲,像女主人的小花园、男主人的跑步机统统能实现。
▲约89㎡5.9米阳台示意图
▲约110㎡6.5米阳台示意图
室内预装了华为智能主机。
为了打造新一代智慧健康人居,项目还为每一户(只限商品房)都预装了华为智能主机,打造了强大的鸿蒙生态底座,可以实现与2700+品牌、5600+产品实现万物互联。
意味着灯光开关、窗帘开合、空调调节等都可智能化操控,生活的便捷与舒适触手可及。(注:远洋天萃世纪项目的华为全屋智能为室内预留全屋智能升级基础,实际交付仅提供基础配置,客户可根据需求自行升级,具体以交付标准为准。)
▲示意图
对尺度感要求更高的,可以选择约110㎡4房,南北通透的设计,实现了5开间朝南。
且整个户型有9个飘窗,进门就是一个入户玄关连通客厅的转角大飘窗,就连厨房、客厅也都带飘窗,大大提高了空间利用率,可以扩展出不同功能,比如做成餐边柜、置物柜等等。
可远眺银湖山和水库。
很难想象在核心区,远洋天萃周边却没有什么超高层建筑遮挡
加上带有超大景观阳台,往外望去视野一片开阔,而且高层可南望银湖山和水库。
产业集聚沃土 经济活力旺盛
作为世界级电子信息产业集群承载区,坂田街道聚集了华为、康冠等国内外知名企业,拥有614家国家高新技术企业和287家专精特新企业,形成了新一代电子信息、数字与时尚以及跨境电商等支柱行业,区域经济发展展现出了强劲的动力,是经济高质量发展的“高产田”。
距离天萃雅园地铁两站就是中国最高双子塔,双塔荣立,双星闪耀以369米摩天高度,打造中国最高等高双子塔,更是实力和门面形象的升级展示
深圳·星河双子塔,作为深圳·星河WORLD升级力作,是深圳唯一享160万㎡大城配套的超高层写字楼。园区耗资60亿元,打造10大类型醇熟配套,一站式解决企业及员工的办公和生活需求。同时,深圳·星河WORLD集产业、商务、居住、教育、购物、休闲等多业态配套的产融新城,规划约75万㎡产业办公空间、产业孵化区、品牌商业区、酒店公寓区、文化艺术区、人才配套区、湖山居住区、生态休闲区等多元业态,构筑“产城、产融、产居、产教”四位一体的产业全生态圈,实现“生产、生活、生态”全面融合,致力企业间联盟共赢,区域内业态互补,并让每一极产业核心跨界联合,资源交互,驱动城市经济腾跃。
项目周边配套情况:
交通方面,真正的地铁口项目,楼下就是10号线光雅园站B出口,,地理位置非常不错,3站福田、6站岗厦北,1站五和换乘5号线2站抵达深圳北
小学学区划分在,科学高中五和实验学校,中学学区划分在坂田实验学校初中部,扬美实验学校初中部,深圳实验坂田校区初中部,科学高中五和实验学校初中部。
其中龙岗排名前三的深圳实验坂田校区,校区和分校是完全不同的管理方式,分校是独立的组织,校区是由总部管理的。深圳实验学校坂田校区为六轨54个班的九年一贯制公办学校。学校总占地面积4.2万㎡,建筑面积2.8万㎡,运动场面积1.5万㎡,规划学位2430个,现有教工197人。学校教育教学设施按省一级学校标准建设,功能场馆齐全,设备设施先进。深实验坂田2023中考成绩:最高分585分,570以上23人;560分以上55人;550分以上93人。
商业方面:1公里范围内有8号仓奥特莱斯及阳光湾畔、五和商业广场等小型商场,距离雅宝星河wordCoCopapk1.6公里,距离天虹商场坂田店1.8公里。
远洋天萃世纪售楼处电话为400-016-8586由官方认证,可用于预约看房、咨询房源及优惠活动,现将核心渠道与权益说明公示如下:
远洋天萃世纪售楼处电话:400-016-8586(售楼处官方认证|24小时1对1咨询|房源开盘|交房|户型|得房率|购房全流程协助)
远洋天萃世纪营销中心电话:400-016-8586(营销中心官方认证|24小时极速响应|学区划分|地铁配套|商超医院|2026购房政策深度解读)
【购房必藏】预约咨询热线现场详细解答丨项目介绍丨户型图丨在售房源丨特价房丨学校丨交通位置丨样板房丨小区图片丨交房时间丨周边配套丨
声明:本文由入驻焦点开放平台的作者撰写,除焦点官方账号外,观点仅代表作者本人,不代表焦点立场。
