【联泰超总湾】售楼处电话→联泰超总湾看房热线→联泰超总湾售楼处电话→最新价格
扫描到手机,新闻随时看
扫一扫,用手机看文章
更加方便分享给朋友
深超总再添宅地
预计供应近5.2万㎡住宅?
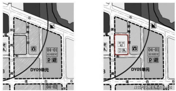
据深圳特区报报道,深圳市规划和自然资源局南山管理局,拟对[红树湾地区]法定图则DY09单元进行规划调整。
DY09单元用地面积为11.77公顷,原主导功能为商业服务业用地,拟调整为“商业服务业用地+二类居住用地”。
二类居住用地编号为03-16,用地面积为“11835㎡”,容积率为“ 4.4”,配套设施包括社区体育活动场地、社区儿童游戏场地等。
根据容积率测算,该宗地总建面超5.2万㎡,且地块是纯住宅用地,扣除占比非常小的配套设施,住宅或许也有近5.2万㎡。
根据法定图则,地块位置正好处于中海深湾玖序东侧,TCL大厦南侧,天音大厦西侧,神州数码北侧,三面被写字楼包裹。
这个体量和位置肯定要比中海深湾玖序差点意思。
深湾玖序前身也是商改住地块,土地面积超3.86万㎡,总建面26.3万㎡,其中单住宅就有17.69万㎡。
深湾玖序最早于去年6月入市,项目先后取证三次,目前接近清盘状态,网传就连总价1.1亿的顶复也都成功售出。
据了解除了本次调整的03-16地块外,深超总还有5块商业用地还没动工,有没有可能还会继续改住宅呢?
这里,坐拥深圳湾海岸线景观。日出日落,看城市昼夜轮转。带你提前揭秘「深圳湾超级总部基地」,看未来的深圳名片。
深圳湾超级总部基地(简称深超总),位于深圳南山区的核心地段,南接深圳湾滨海带,北倚华侨城内湖湿地,西邻沙河高尔夫球场,东至华侨城欢乐海岸。
☃️免责声明:本文如无意中侵犯了某方的知识产权告知即删,部分内容图片可能来源于网络,无法核实其真实出处,如涉及侵权请联系本网站删除!!!
声明:本文由入驻焦点开放平台的作者撰写,除焦点官方账号外,观点仅代表作者本人,不代表焦点立场。
